2022年台风名称及时间及登陆地点
2022年台风名称及时间及登陆地点为:
2022年台风命名表上一共有140个名字,提供名字的地区有柬埔寨、中国、朝鲜、中国香港、日本、老挝、中国澳门、马来西亚、密克罗尼西亚联邦、菲律宾、韩国、泰国、美国、越南。
2022年的第1号台风的名字是杜鹃,来源于中国,是一种花;第2号台风是舒力基,来源于朝鲜,是一种鹰;第3号是台风彩云,来源于中国香港,指天上的云彩;第4号台风是小熊,来源于日本,指小熊星座;第5号台风是蔷琵,来源于老挝,是一种花。
第6号台风是烟花,来源于中国澳门;第7号台风是查帕卡,来源于马来西亚,是一种植物;第8号台风是尼伯特,来源于密克罗尼西亚联邦,指勇士;第9号台风是卢碧,来源于菲律宾,指残酷;第10号台风是银河,来源于韩国,指银河系。
第11号台风是妮妲,来源于泰国,指女士的名字;第12号台风是奥麦斯,指漫游;第13号台风是康森,来源于越南,指古迹。
第14号台风是灿都,来源于柬埔寨,是一种花;第15号台风是电母,来源于中国,指雷电之神。
第16号台风是蒲公英,来源于朝鲜,是一种小黄花;第17号台风是狮子山,来源于中国香港,是香港的象征;第18号台风是圆规,来源于日本,指圆规星座;第19号台风是南川,来源于老挝,指一条河;第20号台风是玛瑙,来源于澳门,是一种玉石。
第21号台风是妮亚图,来源于马来西亚,是一种树;第22号台风是雷伊,来源于密克罗尼西亚联邦,指雅浦岛石币;第23号台风是马勒卡,来源于菲律宾,指强壮;第24号台风使鲇鱼,来源于韩国,是一种鱼;第25号台风是暹芭,来源于泰国,是热带花。
第26号台风是艾利,来源于美国,指风暴名;第27号台风是桑达,来源于越南,是西北部的一条河流;第28号台风是翠丝,来源于柬埔寨,是啄木鸟;第29号台风是木兰,来源于中国,是一种花。

十号台风路径
2022今年第10号台风“蝎虎”生成
今年第10号台风“蝎虎”于(22日)中午在日本以东洋面生成。
下午2点钟其中心位于日本东京东南方向约1650公里的洋面上,北纬25.0度、东经151.6度,8级(18米/秒),998百帕,七级风圈半径100-250公里。
预计,“蝎虎”将以每小时25-30公里的速度向北偏西方向移动,24日转向东北方向移动,强度变化不大,并于26日变性为温带气旋。未来“蝎虎”对我国无影响。
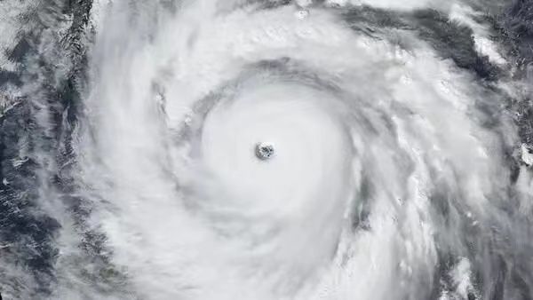
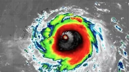
今年首个超强台风诞生,“轩岚诺”这个名字的由来是怎样的?
“轩岚诺”这个名字来源于老挝,这个名字是老挝一个国家保护区的称号。台风的名字是1997年由世界气象组织台风委员会统一决策采用的规则,每个国家和地区可以提出10个台风名字,这些名字都被排列组合并被循环使用。而“轩岚诺”台风的前身也是一个超强台风,由2016年第26号超强台风落坦更名而来。
如果某个台风对地区造成巨大经济损失,则这个台风的名字将会被永久占有,并从命名名单中被删除。空缺出来的台风名字会由原来提供名字的国家或地区再度重新推荐,之后台风来临的时候就可以确保台风有所命名。“轩岚诺”这个台风有可能成为超强台风,也是2022年首个超强台风。“轩岚诺”如果在中国东部登陆,势必会造成巨大的人员伤亡和经济损失,因此大家都在期待“轩岚诺”可以远离中国。
“轩岚诺”台风是2022年的第11号台风,预计以买小时20-25公里的速度向西偏北方向进行移动,强度会逐级递增。在气象图中看,“轩岚诺”台风的风眼清晰可见,其风力一定很巨大。现在“轩岚诺”正距离日本东京东南方向约1420公里,强度等级为热带风暴级别,未来也将维持超强台风级别,可能会在9月3日夜间进入东海海面。
在“轩岚诺”影响中国东部海域之后,西北太平洋又有一个新的台风生成,按照命名表,下一个台风的名字就是“梅花”。虽然台风来临之后高温就会彻底消退,但是超强级别的台风确实很危险。随着阵雨、雷雨天气的增加,也需要预防暴雨引起的山洪、山体滑坡等灾害。
梅花前面的台风叫什么名字
前面台风是第11号台风“轩岚诺”,台风“轩岚诺”于2022年8月28日14时被中央气象台认定在日本东南的西北太平洋洋面上生成。而后其逐渐西行,并受惠于良好的条件迅速加强,于8月30日被升格为超强台风,并于同日完成第一次眼壁置换;于8月31日至9月1日完成第二次眼壁置换并吞并南侧热带低压后再次达到强度峰值[28],并从小环流扩大形成巨大型环流。而后其逐渐转向北上,期间其停滞回旋并有所减弱,但在北上东海过程中重新发展并于9月4日被再次升格为超强台风。再后其逐渐转向东北方向行进并掠过韩国东南,逐渐减弱变性为温带气旋,最终于9月6日晚20时被中央气象台停止编号。2022年台风名字大全
2022年台风命名表:
1号台风马勒卡
2号台风鲇鱼
3号台风暹芭
4号台风风艾利
5号台风桑达
6号台风风翠丝
7号台风木兰
8号台风米雷
9号台风马鞍
10号台风蝎虎
11号台风轩岚诺

12号台风梅花
13号台风苗柏
14号台风南玛都
15号台风塔拉斯
16号台风奥鹿
17号台风玫瑰
18号台风洛克
19号台风桑卡
20号台风纳沙
21号台风海棠
22号台风尼格
23号台风榕树
24号台风山猫
25号台风帕卡
26号台风珊瑚
27号台风玛娃
28号台风古超
29号台风泰利
30号台风杜苏芮